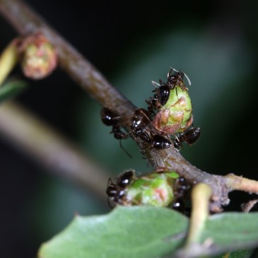
#125: The Plankton of the Land: The Alien World of Aphids with Natalie Hernandez
Dive deep into the bizarre world of aphids—creatures born pregnant, continuously reproducing without a mate, and pivotal to our ecosystems. Entomologist Natalie Hernandez unveils their mind-blowing biology, revealing their symbiotic dance with ants and vital roles in the food web. … More #125: The Plankton of the Land: The Alien World of Aphids with Natalie Hernandez










