#68: Spring Galls: Nature's Master Geneticists, a conversation with Adam Kranz – Nature's Archive
Summary
If you’re a long-time listener, you’re already familiar with the remarkable world of galls and the “Gall Week” community science events that have taken place in the past. But today, we’re taking a fresh look at galls with a specific focus on the importance of spring galls, which our guest Adam Kranz of gallformers.org, describes as the most scientifically interesting galls!
OK, for those who haven’t heard those past episodes – that’s OK. The first 31 minutes of today’s episode is entirely new content, and I’ve appended our first conversation with Adam at the end.
Plant galls are unique organs induced by a variety of organisms, ranging from wasps to moths to midges to mites to fungi. These organisms have figured out how to modify a plant’s genetic expression for the benefit of its own lifecycle. It really is magical.

Today, Adam tells us why spring galls are, as I mentioned, perhaps the most scientifically interesting, and have the most opportunity for new discoveries – possibly even by you. And I really enjoyed how our conversation strays into broader ecology and phenology topics, too. Galls have a lot to teach us!
Spring Gall Week is from April 15th to 23rd, yes, there is a bonus weekend added to it. During that time be sure to get out and look at your oaks, hackberries, hickories, and other plants and document the galls you find on iNaturalist. Here’s the link to the iNaturalist project to make it easy for you to get involved.
And a big thanks to Dr. Merav Vonshak and Adam for continuing to coordinate these events.
Did you have a question that I didn’t ask? Let me know at naturesarchivepodcast@gmail.com, and I’ll try to get an answer!
And did you know Nature’s Archive has a monthly newsletter? I share the latest news from the world of Nature’s Archive, as well as pointers to new naturalist finds that have crossed my radar, like podcasts, books, websites, and more. No spam, and you can unsubscribe at any time.
While you are welcome to listen to my show using the above link, you can help me grow my reach by listening through one of the podcast services (Apple, Google, Spotify, etc) linked on the right. And while you’re there, will you please consider subscribing?
Links To Topics Discussed
People and Organizations
Gall Phenology Tool created by Adam
Gall Week – Spring 2023 – iNaturalist Project
Books and Other Things
Note: links to books are affiliate links
Plant Galls of the Western United States, by Ronald Russo
Rearing Insects article by Charley Eiseman
Tracks and Signs of Insects and Other Invertebrates by Charley Eiseman
Undescribed Gall FAQ by Adam Kranz
Weld Cynipid Books: Free via the Biodiversity Heritage Library and Hathitrust
- Cynipid Galls of the Eastern United States
- Cynipid Galls of the Pacific Slope
- Cynipid Galls of the Southwest
Related Podcasts
- Dr. Merav Vonshak – Gall Week 2021 – the first gall week
- Charley Eiseman
- Dr. Doug Tallamy discusses some oak gall facts
Credits
The following music was used for this media project:
Music: Spellbound by Brian Holtz Music
Free download: https://filmmusic.io/song/9616-spellbound
License (CC BY 4.0): https://filmmusic.io/standard-license
Artist website: https://brianholtzmusic.com
Transcript (click to view)
Michael Hawk owns copyright in and to all content in and transcripts of Nature’s Archive Podcast.
You are welcome to share the below transcript (up to 500 words but not more) in media articles (e.g., The New York Times, LA Times, The Guardian), on your personal website, in a non-commercial article or blog post (e.g., Medium), and/or on a personal social media account for non-commercial purposes, provided that you include attribution to “Nature’s Archive Podcast” and link back to the podcast.naturesarchive.com URL.
Transcript creation is automated and subject to errors. No warranty of accuracy is implied or provided.
Transcripts are automatically created, and are about 95% accurate. Apologies for any errors.
[00:00:00] Michael Hawk: All right, Adam, thank you for once again joining me on Nature’s Archive.
[00:00:04] Adam Kranz: Sure. I’m glad to be here.
[00:00:05] Michael Hawk: So I think I could probably retitle Nature’s archive at times as gall cast because the topic of Galls comes up so often
[00:00:13] Adam Kranz: As it should,
[00:00:14] Michael Hawk: Yeah. . Yeah. There are lots of fun and they’re great entry points, I think for people out in nature to dig a little bit deeper. I’m hoping today we can revisit a few things about yourself and gallformers, galls in general, and there’s some exciting happenings that have occurred over the last 18 months or so since we spoke last. So for listeners who maybe have missed some of the prior discussions on Nature’s Archive, can you remind us what a plant gall.
[00:00:43] Adam Kranz: absolutely. So a plant gall is a novel organ that’s composed of plant cells expressing plant DNA according to a plant or a design imposed by an external inducer. So that could be a wasp amid an aphid, a psyllid, a fungus. But it’s orchestrating some new organ, some combination of plant tissues that the plant would never produce on its own.
[00:01:06] Michael Hawk: That’s a much better definition than I use. So , I’ll have to work on integrating that into how I try to explain it. What might a gall look like? How, and when and where do people typically encounter?
[00:01:19] Adam Kranz: So the wonderful thing about galls is that they have a hugely diverse array of different shapes and forms, right? Like a lot of things in nature, of course that are designed to fit different ecological opportunities to take advantage of different opportunities. So, mostly you find them on a particular set of. Host species that have a high diversity of galls. So we have oaks are the absolute number one, gall host group. And then, hackberries, hickies golden rods. And then beyond that there’s, many other sort of host gene that have fewer but yeah, they, that found during the growing season on all sorts of plant parts above and below.
[00:01:54] Michael Hawk: The thing that always surprises me when I think back to my personal progression in nature is how I missed galls for so long. I’m thinking that I had to have seen them as a kid and just probably didn’t think much about them or assumed, it was a disease or, something that, that I was just able to dismiss.
[00:02:11] But it’s this natural history aspect. Makes them so fascinating. How did you personally get into galls as deeply as you have?
[00:02:20] Adam Kranz: So for me it was through Charley Eiseman’s book tracks and Signs of Insects . So that book has chapters on all sorts of miscellaneous structures that are created by insects and other arthropods that aren’t the actual organisms themselves. And one of those chapters is dedicated to galls and I.
[00:02:36] I was looking through the whole book, looking for all sorts of things I could find outside and realized that galls were sort of that one chapter. And of course this is true of all the chapters, but it was just sort of giving me this pinhole view onto this much, much wider world. And I started looking on I a iNaturalist at the number of observations that had gone unidentified and realizing that, okay, I could start, taking responsibility to identify some of these. and then I just kept going further and further and building, and now I’m, it’s taken over my entire life.
[00:03:01] Michael Hawk: So, so at some point you started digging into some of the historical literature, like the weld books and and other books. Can you walk me through in a little more detail that progression? Like when did you find yourself actually looking at these texts from 1950?
[00:03:16] Adam Kranz: So what happened basically was that, I was looking at Charley’s book right in his little, the few pictures he has in his chapter there and. , I would go on to iNat and I would say, Hey Charley, is this correct? Hey Charley, is this correct? Hey Charley, what’s this?
[00:03:27] What’s this? What’s this? And he was eventually like, , you can just go, look, this is all I know. Here’s the book that I got all this from. You can go look at it yourself. And so I started spending a lot of time with that book and building some very simple tools using the iNat Guides tool to organize that information.
[00:03:41] But then it was actually one of our collaborators on iNat Kimberlie Sasan, who pointed out to me that all of the original descriptions of all these species were available on the Biodiversity Heritage Library. So that was a watershed for me that opened up this, huge flood of other new information that made the project of organizing the information available.
[00:04:01] That much more intimidating. And that much more exciting because if we had all of these original descriptions in one place that we could search, by host, by different traits, then suddenly it would be so much easier to see what was out there, organize that information on i a, improve the computer vision tool.
[00:04:16] All these stuff, all these accomplishments that were sort of, appealing to me at that point became that much more possible if we could have a way to organize that.
[00:04:23] Michael Hawk: I think I hear several success stories here in this narrative. One being Charley’s book in the first place, which opened so many people’s eyes to many different aspects of nature, and then your work. And do you have any metrics on iNaturalist as to how many species. Have been added to computer vision because of this increased focus.
[00:04:46] I know that’s probably a little fuzzy number.
[00:04:48] Adam Kranz: No I don’t have a number that I can actually give you. If I were to estimate it would, it’s gotta be over a hundred potentially in the, couple hundreds.
[00:04:56] Michael Hawk: Even if we don’t have a specific number for that, certainly you’ve helped cultivate a fervent community on iNaturalist, so you can post a gall. and typically you get some feedback on it pretty quickly from other individuals out there.
[00:05:10] Adam Kranz: Yeah. Yeah. I’ve been very satisfied. Very pleased with the results that we’ve gotten, so,
[00:05:14] Michael Hawk: So why don’t you give us a little more insight into gallformers, which is. , the the searchable database. I’m not even sure how to characterize it. It’s more than a database, but the the resource that you’ve created to help gall enthusiast.
[00:05:29] Adam Kranz: Yeah, so as I mentioned I was getting to this point where I realized we had all this information and it was just not conveniently access. In the ways that I imagined it could be. And so I was going on the iNat forums and basically making posts like, Hey, how can I, make the iNat Guide tool?
[00:05:43] So for people who don’t know, the Guide tool is a deprecated feature that was launched with minimal possibilities quite a while ago, early in iNat’s history. And I was like, Hey, I wanna do more stuff with this. And KCI basically said, this tool sucks. You’re never gonna get anywhere using this.
[00:05:57] You need to start from scratch. You need to build a real. And so I didn’t of course feel like I had the skills or experience necessary to do that. So I was sort of casting around at random on the iNat forums Hey, how could I possibly go about, solving this problem? I got really lucky to find Jeff Clark, who was basically the exact right person I needed, right?
[00:06:15] So he was interested in galls and he had exactly the skillset to build a. and he had just taken some time off from his software development career and, he was exactly positioned to build this thing with me. So we built this a few years ago and it is a database essentially, right? It’s a user interface for a database that contains a page for every known described or undescribed gall in North America so Canada, us, Mexico, and a little bit of the.
[00:06:41] And it’s essentially both an ID tool and a literature review tool. So it collects quotes from every primary literature source, every secondary literature source we can find. It collects images from iNat a and from the literature. And it has a searchable tool that you can use.
[00:06:59] Different ecological traits like the host plant, the color, the shape the form, all sorts of things that you can observe in the field about a gall to let you know what the possible species names that correspond to that might be.
[00:07:10] Michael Hawk: Yeah. And I think it’s important to point out at this point too you say that it includes every described and undescribed gall in North America. It’s worth also saying that there are many. Undiscovered galls out there as well too. And how do those discoveries, which seem to happen on a relatively frequent basis, how do they then work their way into gallformers?
[00:07:33] Adam Kranz: So just to clarify, the including every species, every described in Undescribed Gall is an ambition. It’s not something that I would say that we’ve, achieved yet. . But yeah, so, so in terms of how do we get an undescribed call onto the page? It’s through iNat. Every once in a while people will email me with something new and I’ll say, please put this on iNat
[00:07:51] Because when you have an I iNat record, right? It’s something that the public can look at and search and find, and we have a, place to discuss it. It’s got all of the metadata attached to it. So it’s much more convenient to do it that way than to do it through private communi.
[00:08:03] But yeah, once people put it on iNat, then, they either alert us or we find it using the ID applied by the computer vision. And, yeah, I create a page for it. I create a, a temporary tag, and then we start to accumulate information about it. If we see other people find it in future seasons, we tell them, Hey, this is Unes.
[00:08:20] Can you try to collect it so that we can get it to a taxonomist? And that’s pretty much the.
[00:08:26] Michael Hawk: actually on, on a personal note you say collect it so you can get it to a taxonomist are what is the current state of the world when it comes to these specialized taxonomists that can actually say, take in some of these species and do the hard work that it takes to describe a species.
[00:08:44] Adam Kranz: That very much depends on which group you’re asking about. So in, in gall inducing taxa, we’ve got mites, we’ve got fungi, we’ve got midges, we’ve got wasps. So in some groups there is sort of like a single, lifelong expert who is retired or near retired and is, not in a situation to be replaced by a younger apprentice or something.
[00:09:08] Where, so what if we we’re to lose one of these individuals, it would set us back tremendously. Or if they’ve already retired, there’s just no one to step up. do that work instead. In the oak gall wasps, partly for that reason become my main obsession lately we actually have a pretty a pretty big and growing and young community of taxonomists working on those organisms.
[00:09:29] So that is partly why I’ve shifted my focus there because I know that if I tell people to collect things that I, at least in theory will have someone to send that to over the. , five or 10 years at most that will get it published and put a name on it.
[00:09:43] Michael Hawk: Very interesting. So, yeah, ba basic research is such an important , facet of biology. The other thing that I noticed about gallformers that maybe wasn’t the case when we spoke last is that you have some look alike species in there as well. Can you tell me more about that?
[00:10:03] Adam Kranz: are you talking about like scale insects and stuff?
[00:10:05] Michael Hawk: Yes.
[00:10:07] Adam Kranz: Yeah, so the problem is that of course, that most people don’t know what a gall is at all. And even people who do know what a gall is will often, especially when they’re early in their gall natural history. Lifespan will, overgeneralize and think that things that are look like galls, so plant organs that strange or structures like scale insects or burls will mistake them for galls and, go looking for that on gallformers and come up empty.
[00:10:35] And, we don’t want them to think that those are unknown or undescribed structures. So I did at one point start adding a few scale insects to the hosts that I. Tried to add like a complete list of galls to at this point I have mixed feelings about that. I don’t know if it’s actually worth putting those in there.
[00:10:52] , I don’t know. Interesting to hear if anyone has actually benefited from that or not. Or if they just get in the way, but,
[00:10:56] Michael Hawk: I can tell you my opinion. I enjoy it. And the one little bit of feedback I would have, and maybe it’s changed, I haven’t looked recently, is it on initial search, it wasn’t always clear to me. Say I’m searching by Quercus agrifolia or, something like that. And the options will pop up.
[00:11:13] It wasn’t clear to me which were actually galls and which were gall like, structures. But then once you click in you can see it’s clearly identified as not a gall. But yeah, I like it. That’s one data point for you,
[00:11:25] Adam Kranz: Yeah. Yeah. I And I suppose ultimately, right? If you’re identifying something on iNat right, and you find something that matches, it doesn’t matter whether it’s a gall or not, you put the right tax on there and you’ve got the species of the genus name down.
[00:11:37] Michael Hawk: One of the reasons why I reached out to you, right now. When I did is because there’s a new event coming up a spring gall week. And those again, who have listened to Nature’s Archive in the past we’ve profiled the fall gall week before.
[00:11:54] So I thought I’d be a good idea to explain why spring gall week is such an interesting idea and potentially a very useful community science endeavor. So can you tell me about the genesis of spring gall?
[00:12:07] Adam Kranz: Sure. So, we’ve done gall week for two years now, and we’ve done it in the fall both times. And of course there’s a very big diversity of very apparent charismatic galls to see in the fall, pretty much anywhere in the country or the continent. And they tend to last, for a fairly long time.
[00:12:25] So they’re easy to find. They’re easy to identify. They’re well-studied. But the flip side of that is that most of the under-studied galls, the understudied gall inducing organisms are emerging. They’re active or they’re forming galls in the spring. In the case of the oak gall wasps specifically, , right?
[00:12:46] These are organisms that have a, to our knowledge, almost without exception, a two generation lifecycle every year. And they have one generation called the agamic generation that only includes females, and that’s the generation that is typically found in the late summer through the winter. They typically have that persist for a long time.
[00:13:06] They’re charismatic, they’re large, they’re easy to find. . And then the other generation is what we call the sexual generation or bisexual generation that has both males and females and in oak gall wasps. Those sexual generations typically occur on young spring tissue. So buds that are either about to break or have just broken young leaves, young flowers, or young stem.
[00:13:29] They’re typically pretty ephemeral. They’re typically pretty cryptic, so they’re very understudied. If we have the opportunity to get everyone on I nat, or some very small fraction of everyone to go out and look for galls at some particular time, the most scientifically interesting time to do that is in your local spring.
[00:13:47] And of course when spring is, depends pretty considerably on where you. So we split the difference and we put gall week in the middle of April. So when a plant is perennial it over winters, right? It tucks all the resources down in the roots and then, all the leaves drop or the stems die away or whatever.
[00:14:02] But then in the spring is that period when it’s taking those stored up resources from the roots and it’s very quickly developing a lot of new tissues. Now, of course, for a gall inducer their whole life cycle. Or lifestyle is premised on creating novel plant organs. So that’s the moment, right?
[00:14:19] That’s the big opportunity to create these new organs is in the spring when all of these resources are on the move and creating new organs very quickly. Some of these things I’ve seen here in Texas over the last couple weeks, right?
[00:14:32] New undescribed, sexual generation galls that have emerged over the course. A week and a half, some of them even less than that. So, so really, in terms of spring gall week, what I would love to say is, spring gall week should be , spring gall week and wherever you happen to be.
[00:14:48] So it’s right now if you’re in Texas or Southern California or Florida, It moves across the country. So we picked gall week in the middle of April to say, we’ll catch the end of the late spring galls in the south and the early spring, galls in the North, and hopefully that will be good enough.
[00:15:03] Michael Hawk: Yeah. I think here in California we really need like a uh, gall season because we were starting to see some early galls as, as early as mid-February, and I’m guessing there were probably some that were already going before that. .
[00:15:18] Adam Kranz: Yeah. It’s
[00:15:19] Michael Hawk: this event, I know has generated specific sub events like gall walks at different parks or open space preserves and things like that. And we’re organizing one here, of course, to more than one to get people out. So hopefully others can do the same in the future.
[00:15:38] Adam Kranz: Mm-hmm.
[00:15:39] Michael Hawk: I’m getting a picture of why spring is so hard because, part of it is because things happen so quickly in the spring.
[00:15:44] There’s all these pint up resources. I think, tell me if I’m wrong, but I think some of it might be too, that spring for a gall former is sometimes earlier maybe than we think of spring being
[00:15:59] Adam Kranz: I mean, I guess it depends on what your benchmark is for spring. If you’re looking at, the early flowers, then it’s around the same time. So you know here in Texas, I was taken off guard that spring was starting in the middle of February. It sounds like in California it’s starting even earlier.
[00:16:14] But yeah, I mean there are other sort of stereotypical spring events that are happen. at the same time. But the spring galls are synchronous with bud break, right? So if Bud break is what spring means then it’s happening at the same time.
[00:16:26] Michael Hawk: Yeah, that’s probably a little bit of my own bias coming in because I guess. Naive view of the world had traditionally been that insects came in warmer weather, but there are many insects that will come out on a sunny day that’s in the forties. So it can happen sooner so that bud break and and then the tiny gall wasps will come out at the right time to take advantage of that blood.
[00:16:47] Adam Kranz: Yeah. That’s the thing with sort of niche partitioning is that if most insects do come out when it’s warm, that means that there’s an advantage in being the one that can, whether you’re avoiding predators or you’re just finding food resources that aren’t available to others.
[00:16:59] If you can tolerate the cold, then there’s an advantage to that.
[00:17:02] Michael Hawk: when it comes to the Spring gall formers, like we’ve been talking a lot about the significant wasps how does it look for some of the other inducers? Like the midges or the mites or saw flies. , are there similar uncertainties or discoveries to be made in the spring?
[00:17:18] Adam Kranz: So, I’ve been mostly focusing on phenology with cynipids just because it’s been my sort of personal obsession lately. So I can tell you about Hackberries, for instance, as an example and Ed Hickory, where the on hackberries, there are two diverse groups of gal inducers. There’s the psyllids and the midges and the pysllids are all spring.
[00:17:38] They’re all on young, fresh, emerging leaves. And then the midges occur . In the mid to late summer. The same thing is true on Hickory. We get the si fauna, the aphids flora in the early spring as the leaves are emerging, and then the midge galls in the summer. And that actually mirrors the pattern that we see in the oaks where the sexual generation galls and thes galls on hackberries and the flocker galls on Hickory, all of them form integral gall. inside of the leaf tissue or stem or flower tissue. Whereas the summer galls both in the hackberry midges, the hickory minges or the oak gall, agamic generation are much more likely to be detachable. So they fall off of the leaf before the leaf falls off the plant. Or at least they can in theory.
[00:18:27] But they’re structured in such a way is that they’re not attached to the leaf perman.
[00:18:32] Michael Hawk: That’s interesting. I love hearing those observations because it immediately brings to mind different ideas or hypotheses as to why that might be the case, or how that could be advantageous.
[00:18:42] Adam Kranz: So the number one thing is the uh, management of the microclimate, right? So aga, is not a perfect, It’s not perfectly sealed from the environment, right? So, so the inducer is of shut up in there. But if the external air gets too dry then the organism will dry out inside.
[00:19:00] So essentially it’s all about finding that, that ideal microenvironment for the gal to mature in. And of course, in the spring, the leaf persists on the plant long enough for the inducer to leave. In the fall, the leaves drop. And the insect needs to over winter. So the theory is that the detachable galls are supposed to be dropping before the leaves so that the leaves will cover them so that the G galls will get buried in leaf litter and they will stay at a relatively high level of humidity.
[00:19:29] And, constant temperature over the winter.
[00:19:31] Michael Hawk: Yeah. Yeah. Makes sense. So, I’d love to get into interesting natural history stories, and that’s a good example there from a general standpoint, but I’m curious with all of your engagement in the gall community, have there been any surprising gall discoveries in the last few months that you want to highlight?
[00:19:51] Or maybe natural history stories related to galls that you’ve discovered or that people in the community have discovered that you’ve become aware?
[00:19:58] Adam Kranz: Oh, we could talk about the one that you found
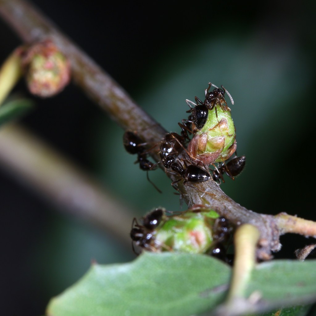
[00:20:00] Michael Hawk: yeah. , I’ll give the quick story of what I found and and then you can tell me how you helped me figure it out. . So I, it’s actually somewhat of a funny story. I was supposed to be leading uh, bio blitz and I went on the wrong day. And I got there and was like, where is everyone?
[00:20:15] And I was kind of disappointed. But then I thought you know what? This is an opportunity to actually go out and explore on my own. And I can probably look at things a little bit differently when I’m not trying to lead a group. And I found this coast Live oak corcus aralia, and I noticed American winter ants all congregating on a bud.
[00:20:34] Amer ants are small. Obviously the bud is small. So I was lucky to have noticed it, but it stood out to me from experience simply because I know that typically the ants on that tree anyway, if they’re in the tree, it’s because they found a source of honeydew. and honey do is usually an indication of herbivory or some other interesting ecological thing happening.
[00:20:59] So of course my first thought was maybe this is a gall, even though it just looked like a little bud. So, trying to be a good iNaturalist citizen. I took some photos, stuck it on iNaturalist, I put it in the gall projects. I don’t even know if I fla. As a cynipid at the time, but I did get it into the gall projects.
[00:21:17] And then at that point you took a look at it and I guess you can pick up the story.
[00:21:20] Adam Kranz: Sure. Yeah. So you were not certain, like you said, if it was a AIP or not. A note gall lost. And I think I remember telling you actually that, Oaks can’t. Exude Honey Dew on their own. That in order to have a nectary like that, they need an inducing organism to, to impose one on them, which of course I believe to be true for maybe another week or two until I went out and it was spring here and I found, post Oaks and Lacey Oaks doing the same thing without any apparent herbivore damage, just exuding honey do on their buds.
[00:21:48] But it turned out in your case, of course, that it was potentially a described gall one that we have never seen before to our knowledge. It’s something that mentioned in the literature. We have some drawings of it. We have some text descriptions of it. We have one not particularly useful photograph of it.
[00:22:06] And so the current name is Kokocynips atract ans indicating that it attracts ants using Hun Honey do. And so I asked you to go and collect them and dissect them to prove that there was in fact, a gall wasp larva in there, and to see what the internal structure looked like to see if it matched these drawings that we have.
[00:22:24] And I guess at this point the verdict is still. Not a hundred percent certain. We’re not quite sure if that’s what it is or not. So, um, you collected those, , what’s the status?
[00:22:33] Michael Hawk: Yeah I I did dissect one and. There was a chamber and there was a larva inside single larva. So it, yeah, it did prove, in fact, it was a gall. Now as to which one I wanted to be careful because the fact that this was something that hadn’t been, Frequently observed. I didn’t know how rare it really was.
[00:22:53] So I went back and I wanted to make sure there were sufficient quantities of these galls on that tree and neighboring trees before I would collect any to, to rear beyond, just the one.
[00:23:03] But I collected three or four and nothing ever emerg.
[00:23:08] Adam Kranz: Yeah, it’s too late. , you either collected them too early, so, so that, that’s the sort of the whole trick right? Is figuring out the timing. And the only way we can do that is to have more people try and fail, right? Just like with anything. So that’s the sort of one of my hopes with spring all week is that we can get people not only out looking for.
[00:23:23] Spring galls, right to just to report them at all. But for one thing, looking for people to actually collect people, especially farther north where this is still earlier in the spring to look for the agam females that are still emerging from last year’s galls that are over positing on the buds as they’re breaking.
[00:23:39] We’d like people to collect those so that we can try to figure out what they. And tie those to sort of phenological and geographic records, but also to collect the cryptic spring galls and the ephemeral spring galls because those Gs, because they are ephemeral, they’re actually quite a lot easier to rear than the A gamut gs, right?
[00:23:58] Some of the, a gamut Gs uh, take, one or two years. . And of course there’s always a possibility that they’re just gonna die in the meantime if you don’t provide them the right conditions. But the sexual generation galls are they have such a short time span that you pretty much know within a week or so if you’ve done it correctly if you’ve collected them at the right time.
[00:24:14] Basically the idea is you just take ’em and you stick ’em in a bag. You stick ’em in some sort of jar. They should be airtight, watertight because they need to stay humid, right? Those galls still rely on the tree to stay moist. , if they dry out, they won’t survive. So that’s been a mistake that we’ve made in the past, that we’ve learned that, it’s better for them to get moldy and stay wet than it is for them to completely dry out
[00:24:35] Cuz the insects can’t tolerate that.
[00:24:37] So that brings me to a point I, I, I neglected dimension earlier. The main project that I’ve been working on for gallformers over the last eight months, almost a year now. Is a phenology tool, which is secondary to gallformers as a website. It’s something I built on my own through, a different platform.
[00:24:54] it’s designed as a way for users amateurs and professionals, academics to basically see what information is actually known about the timing, the phenology. of gall development and emergence for each different generation of each species. So that tool is something that I hope will be very useful for people in actually figuring out what is going to be around in my area during gall week, or when should I start looking, if I want to find something outside of gall week, when do I need to look for, any particular species or genus that I’m aware.
[00:25:25] And a lot of those are going to be sexual generations that we know a very little bit about. We have a very small sense of when they should occur where. But so designed this phenology tool to try to extrapolate from known information to other latitudes where we have less information.
[00:25:41] And what I’m really hoping is that people can use that tool and just, go out and look and see what they find to start to help me fill in. More of the tool so that, we can iterate, we can accumulate more data. So the idea is that the tool tells you all of the current data available for any particular species in practice.
[00:25:58] Of course, that’s not even close to true because there’s a tremendous amount of data available on iNaturalist that I have to manually go through and code in order to import it. So, I’ve got something like 26,000 data points in the tool right now. There. Many hundreds of thousands of observations left on i a to, to import.
[00:26:17] , but that’s the hope is that people will use that tool go out and find things that will help me, fill in some of those gaps. Correct some of the overestimates or underestimates that are in the tool now, so that in the future we can make even better predictions about when to look for particular species, when they develop, when they emerge, when they oviposit in any particular area.
[00:26:37] Michael Hawk: that sounds really interesting. In, In the moment we start talking about plant phenology, it’s pretty easy to take the, take another step and say well, this will be interesting too from a climate. Perspective to see how things change over time because you know, a lot of trees are notoriously adaptable and we’ll start breaking bud very early if the weather’s warm.
[00:26:58] And it’ll be interesting to see then, like how do these gall inducers adapt to that variability over time, too.
[00:27:05] Adam Kranz: Yeah I’ve worried about that in creating this tool because a lot of what I’m doing is, of course, essentially just collating all of the historical records. And in, in gall studies, we had a big a period from maybe 1860 to like 1920 or 30 where most of the original descriptions were made. , and then sort of a lull throughout the second half of the 20th century that resumes, more recently.
[00:27:27] But to some of that older information, how much does that still hold up? How much of a a guide can that be to us today after, we’ve experienced what a degree or so of forming already? So far, essentially we don’t have enough information to make precise enough estimates that.
[00:27:42] Degree of change so far is like detectable relative to the precision of the estimates I’m making in the first place. So I, I don’t know if we’ll ever be able to say using GA specifically, right? Oh, this species has shifted by an average of three days because we just don’t have the historical baseline data to compare to.
[00:28:00] That may not be true, but that’s my guess right now is that we just will never know.
[00:28:04] Michael Hawk: Yeah, may, maybe it wouldn’t be something so precise as that, but rather a correlation of a decline in occurrences of a given gall as the phenology of the plant shifts, or, something like that. Which of course isn’t one, one level of indirection, which. Inherently makes it a little bit less reliable.
[00:28:23] Adam Kranz: , I mean,
[00:28:24] that’s a really interesting question. I was just in thinking about in terms of, The reaction of the tree to climate change versus the reaction of the wasp. I guess I don’t really know. So some of the live oaks around here, for instance, are, 80, a hundred years old.
[00:28:37] What is it that they’re actually doing to adapt to climate? Climate change? I don’t know if an individual tree like learns to butt out earlier, or if the learning happens on the scale of the species through genetic. Because if happens on the scale of genetic change, then those wasps are not gonna have any issues because they’re, they’re creating two generations per year. And the ones that emerge too earlier, too late, are gonna die. And, the other ones are gonna produce huge abundances , As long as the hosts still exists, right? If the hosts are able to adapt, then the was, I don’t think should have that much trouble keeping up.
[00:29:11] Michael Hawk: It’s interesting to think about for sure. And the temporal plasticity, I guess is the key point there.
[00:29:17] definitely I’ll make sure to link to the phenology tool and of course, gallformers and Gall week we should probably call out. Exactly when gall week is.
[00:29:28] Adam Kranz: Yeah, I was gonna say I did not, I thought last night I should memorize those dates and then I didn’t, and now I don’t want to say for sure. I wanna say 15 to 23.
[00:29:36] Michael Hawk: That’s right. Saturday, April 15th to Sunday, April 23rd, and in traditional gall week form, it’s more than a week.
[00:29:45] Adam Kranz: Yeah, with two weekends,
[00:29:46] Michael Hawk: So that will be a lot of fun. And there’s a iNaturalist project, of course, to collect the observations that that you may have. So Adam, is there anything else about the magic of Galls that you’d like to convey today?
[00:29:58] Adam Kranz: I just hope people go out and look and find interesting things and collect them and send them to me. I, this might be a bit of a gsh thing to say, but one of the major sort of obstacles I run into in iNat users is that naturalists have a hesitancy now to kill things. . And for us, entomologists, you know, that’s, the only way that we can ever really learn is by having specimens in hand.
[00:30:19] So collecting things, stick ’em in the freezer, pin them, put ’em in ethanol, whatever you do. But just having people be more willing to actually make collections is the only way we’re really gonna advance our knowledge.
[00:30:31] Michael Hawk: , I think like anything, there’s a spectrum of behaviors that could exist in that realm and I, I think people can do what you’re asking for in a thoughtful way, and Charley, back to Charley Eiseman. He has a good blog post on rearing leaf miners and I think a lot of the same principles apply as to how to collect and store.
[00:30:49] So I’ll make sure to link to that in the show notes as well. That can be maybe a quick overview for folks who are interested in contributing in that way.
[00:30:56] Adam Kranz: Yeah, I think I have a post written up similar to that as well that I can send you to link.
[00:31:00] Michael Hawk: Oh yeah, definitely. I would love to. Okay. Well Then Adam, thanks again for taking the time today and as always, I enjoyed our conversation and I look forward to getting this out in time for gall Week.
[00:31:11] Adam Kranz: Me too. Thank you for having me.
